詳細情報

property information

物件番号:T123
売地
秋田市土崎港東2丁目22-6
720万円

物件詳細情報

㎡単価/坪単価
2.2万円/7.1万円
土地面積(公簿)/坪数
337.87㎡/102.2坪
私道負担面積
都市計画
市街化区域
地目
宅地
用途地域/最適用途
第一種住居地域・第二種中高層住居専用地域/住宅用地
地勢
平坦
建ぺい率/容積率
60%/200%
土地権利
所有権
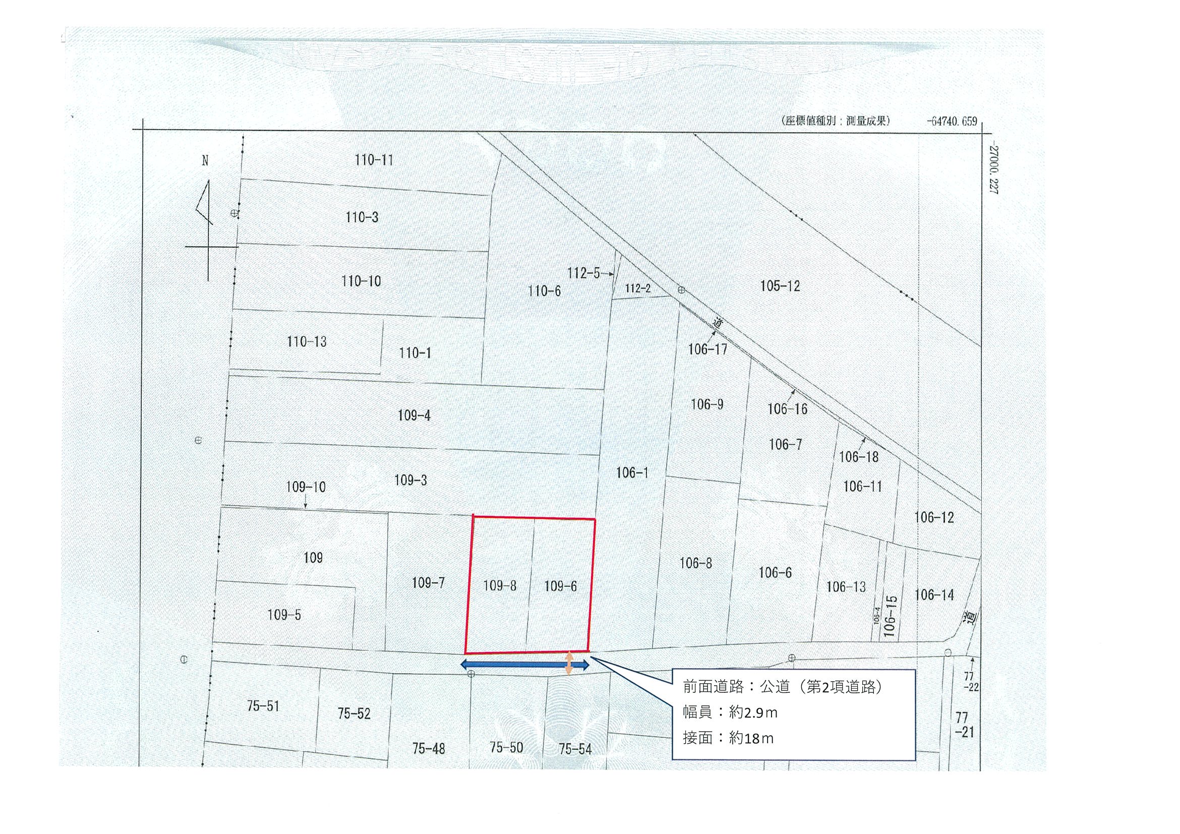
接道状況
方向:南
国土法届出
不要
担当
稲葉
取引態様
専任媒介
広告転載区分
不可
現況
建物有
引渡し
建物解体更地渡し/時期は相談
沿線/駅名/最寄バス停
奥羽本線/土崎駅/土崎幼稚園前
交通
駅より バス5分、徒歩10分(725m)バス停より徒歩4分(280m)
周辺環境
特記事項
準防火地域
設備/条件等
都市ガス、電気、上水道、下水道、セットバック必要
備考
再度、価格引下げしました!(旧価格770万円)

店舗情報

秋田共立株式会社

免許番号:秋田県知事(17)第25号

秋田市大町二丁目4番44号

TEL 018-862-5807

FAX 018-823-3151

営業時間:平日9:00~17:00

定休日:土・日・祝日

秋田県秋田市大町二丁目4番44号
秋田第一ビルディング2F

営業時間:平日9:00~17:00(土・日・祝日除く)